В текущем году избирается новый состав краевого парламента, а через год обновится депутатский корпус городской думы, а в мэрии Владивостока совсем недавно официально появился новый босс. Всех этих замечательных людей территориальное общественное самоуправление “Патрокл-Сочинская” уже уведомило о своем видении по развитию общественных пространств в районе и по близости с ним. Список в презентации не закрытый и не исчерпывающий, и к сожалению ни к чему никого не обязывающий.
Чтобы воплотить в том или ином виде хоть что-то из него или что-то другое по этой теме гражданам необходимо на постоянной основе транслировать свой настойчивый запрос. Господа чиновники даже не скрывают, что работают только по тем направлениям, где запрос есть. Сразу на всё у них как бы и ресурсов нет – уверяют они и в целом правы, что объясняется устройством бюджетной системы и в целом системы госуправления в России.
- Пляж бухты Патрокл
- Пляж бухты Соболь
- Леопардовая набережная
- Набережная пруда (безымянного озера)
- Лесопарк у батареи Соболь
- Лес и видовая на сопке
- Аллея у трассы
- Родник
- Видовая площадка у авторазвязки Патрокл-Русский-Чуркин
- Парк “Патрокл”
Все перечисленные ниже тезисы по каждому из объектов не являются догмой, а лишь отправной точкой для дискуссии, проведения детальных опросов и последующего составления технического задания на проектирование.
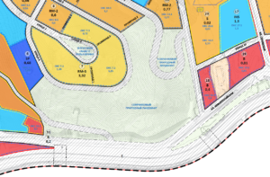
№ 1. Пляжи бухты Патрокл
Земельный участок 25:28:000000:358 (30 178 кв. м), зона пляжей (Р6). Восточная часть находится в земельном участке 25:28:030014:188 (39 587 кв. м) и делит его с набережной бухты Соболь, зона объектов отдыха и туризма (Р3).
Физическое ограничение парковки автомобилей у воды (столбики или иные препятствия, твердое покрытие парковки с бордюрами) – вероятно будет обеспечено соседствующим рекреационно-развлекательным парком.
На пляже необходимы кабинки для переодевания, урны, контейнеры для мусора, уборка. К центральному отрезку пляжа, который расположен напротив домов Басаргина 31-42 необходим обустроенный спуск (лестницы, дорожки) от Леопардовой набережной в две стороны от дома Басаргина 42а. В восточной части бухты необходимо демонтаж травмоопасных остатков пирсов в воде. В западной части также необходим спуск к воде.
№ 2. Пляжи бухты Соболь
Земельный участок 25:28:030018:12775, 29 269 кв. м, зона пляжей (Р6). Южная часть находится находится в земельном участке 25:28:030014:188 (39 587 кв. м) и делит его с набережной бухты Патрокл, зона объектов отдыха и туризма (Р3). На участке побережья 25:28:030018:477 под подпорной стенкой авторазвязки регулярно (сезонно) появляются незаконные временные строения – шатры, контейнеры.

Традиционно бухта используется не только для купания, а также для выхода в море на лодках, для серфинга, винд-серфинга почти круглый год, а зимой здесь также купаются “моржи”.
На пляже необходимы кабинки для переодевания, урны, контейнеры для мусора, уборка, цивилизованный бизнес арендаторов.
Также как с бухтой Патрокл необходимо физическое ограничение выезда автомобилей к воде. В случае сохранения здесь возможности выхода в море на лодках и моторных плавсредствах необходимо строго отделить зону подъезда авто с плавсредствами для спуска на воду от зоны купания.
Северная часть бухты, с каменистым пляжем у скалы с народным названием “Диван” должна быть ограничена от заезда автомобилей (дорогу необходимо оставить только для обслуживания). Скала используется альпинистами и популярна у фотографов для проведения фотосессий.
Над пляжем на высоком берегу располагается кафе и другие строения на участке 25:28:030018:478 площадью 21 609 кв. м. Участок в федеральной собственности и находится в аренде для комплексного освоения в целях жилищного строительства у господина Мамедова Мирза Муртуз оглы.
Договор неоднократно продлевался и согласно открытым данным истек в 2018 году, а краткосрочные продления в кадастровой карте не отображаются. Назначение участка предполагает возможность строительства здесь туристической базы или гостиницы.
№ 3. Леопардовая набережная
Леопардовая набережная – прекрасное общественное пространство с променадом и видовой площадкой, вымощенная брусчаткой, оснащенная фонарями, скамьями и урнами была символически передана городу к Саммиту АТЭС-2012 и с тех пор пришла к запустению.
Земельные участки 25:28:030014:1227 и 25:28:030014:1244 перешли в муниципальную собственность лишь в феврале 2020. Весной 2019 здесь вновь включили освещение, но не на всей территории, до сих пор не делается ремонт покрытий (брусчатки, облицовки, ступенек), скамеек и фонарей, летом 2021 поставили новые урны, но регулярность их уборки неудовлетворительная. Проезды и проходы (25:28:030014:1258 и 25:28:030014:1245), а также газоны (25:28:030014:1265) также должны стать муниципальными для возможности их содержания.
В этом месте кроме уборки в содержание также должны входить покос и акарицидная обработка. Здесь необходима установка камер видеонаблюдения. Ремонт детских площадок и стадиона, который обрушается в море и отдан МЧС городу.
№ 4. Набережная пруда (безымянного озера)
Земельные участки 25:28:030014:1239 (канализационная насосная станций в северо-западном углу у авторазвязки), 25:28:030014:1259 (основное побережье), 25:28:030014:1260 (сам водоём), 25:28:030014:1263 (западный берег) перешли в муниципальную собственность в 2021 году, все они находятся в зоне объектов отдыха и туризма (Р3), они уже включаются в программу благоустройства.
Участок 25:28:030014:1261, где расположен южный берег и протока к морю, а также метеорологическая станция остались в Дом.РФ. В участок западного берега врезан другой участок – 25:28:030014:4360 с назначением “предоставление коммунальных услуг” на котором за последние года на месте руин старой военной казармы возникло небольшое строение площадью 102 кв.м. Оно оформлено на кадастр с номером 25:28:030014:321 как котельная по адресу Басаргина 8. Принадлежит строение на 3/4 Нежуриной Марине Викторовне и на 1/4 Хуршудян Самвелу Араратовичу – представителю армянской диаспоры, учредителю церкви Сурб Геворг на Володарского. Строение простаивает, хоть и огорожено забором, несоответствующим земельному участку, охраняется человеком и большой собакой. Как утверждают специалисты, такая схема по возведению в т.ч. на месте руин строения раньше регулярно использовалась для получения приоритетного права собственности на землю.

Комплексное благоустройство территории водоёма (согласно исследованию гидролога он признан рукотворным прудом, а не озером) жители видят в ключе спокойного семейного отдыха и заняний спортом. Бережное освоение природного ландшафта и водоема с применением экодренажа водостока, питающего водоём, а также с дноуглублением и расширением протоки, соединяющие озеро с морем для усиления циркуляции воды и уменьшения заболачивания.
- Беговые и велодорожки, зоны йоги
- Зоны для пикника, скамейки и качели для отдыха, озеленение
- Обустройство подходов к воде и пирс для рыбалки
- Физическое ограничение парковки автомобилей вблизи побережья, недопущение заезда зимой на лёд для дрифта, а также мытья в озере плавсредств
- На водной глади – рыбалка и прогулки на лодках/катамаранах (без моторов!), зимой – каток
- Интеграция бизнеса: фастфуд, прокат инвентаря (велосипеды, роликовые коньки и т.д.)
Не только ради доступа к озеру, но и для связности двух частей района – севера и юга по отношению к трассе нужна организация пешеходного доступа к виадукам с обеих сторон: 25:28:030014:297 (участок трассы, на которой стоят два виадука), 25:28:030014:1265 (газон у трассы со стороны Басаргина), 25:28:030014:1383 (газоны и склоны со стороны Новороссийской), 25:28:030014:1201 и 25:28:030014:1200 (место рядом с восточным виадуком).
№ 5. Лесопарк у батареи “Соболь”
На сопке с восточной стороны района располагается объект крепости Владивостока – батарея Соболь в окружении зоны лесов (Р4). Рядом расположены территории бывшего военного завода, а сейчас – автомастерские. Часть земли уже продана и здесь планируется многоэтажная застройка.
Для полноценного использования территории необходимы следующие мероприятия:
- Демонтаж бетонного забора у КПП, батареи и павильона дальномера
- Покос травы и спил деревьев вокруг объектов крепости, информационные таблички музея-заповедника крепости, тропинки/дорожки и обеспечение беспрепятственного проезда и прохода до объекта с основных дорог
- Обустройство видовой площадки на Уссурийский залив
Земельные участки: 25:28:030018:396, 25:28:030018:13107, 25:28:030018:12774, 25:28:030018:15359, 25:28:030018:15360, 25:28:030018:15358.
№ 6. Лес и видовая на сопке
Новые участки будут образованы в результате межевания по ДПТ-2021 на базе участка склонов сопки 25:28:030014:1386 и вершины 25:28:030014:1387. Напомним, сохранить часть леса удалось благодаря активности жителей, в т.ч. через организацию забега.
На вершине сопки можно разместить небольшой сквер с видовой площадкой, а на склонах сопки организовать прогулочные дорожки с минимальным вмешательством с целью сохранения природного ландшафта и лесного массива в статусе лесопарка, установить урны/контейнеры у основных входов в лесопарк. Бережную интеграцию благоустройства в городе уже можно увидеть на примере Нагорного парка, что-то подобное планируется также в Минном городе, а опыт создания эко-тропы уже есть на острове Попова.
№ 7. Аллея у трассы
На основе группы участков (25:28:030014:1395, 25:28:030014:1203, 25:28:030014:1383) в рамках ДПТ-2021 выделена территория общего пользования, которая является оврагом между трассой и улицей Новороссийской. Сейчас она совершенна непригодна на роль общественного пространства.
Однако, если здесь провести планировочные работы – отсыпку рельефа с последующим озеленением, то может возникнуть прогулочная дорожка и скамьи, связывающая эстакаду на развязке и виадук у Басаргина 16. Интенсивное озеленение разной высотности (деревья и кустарники) этой территории создадут естественный экран (буферную зону) от шумы и пыли трассы.
№ 8. Родник
Природный родник на территории жилого комплекса компании ПИК (земельный участок 25:28:030014:1299) будет благоустроен силами застройщика, к нему будет обеспечен публичный сервитут – об этом достигнуты договоренности с ТОС «Патрокл-Сочинской» и уже представлен проект. Родник включен в федеральный водный реестр.
№ 9. Видовая площадка у авторазвязки Патрокл-Русский-Чуркин
Земельный участок 25:28:030014:1227, 8 841 кв. м расположен на мысе Жданко над бухтой Патрокл. Разрешенное использование: Для иных видов жилой застройки – сады, скверы, парки, бульвары. Зона объектов отдыха и туризма (Р3). Здесь открывается прекрасный вид на бухту, полуостров Басаргина, остров Скрыплева, частично на остров Русский и мост на него, берег с крутыми скальными обрывами, под которыми расположены лодочные гаражи-коттеджи.
Этот участок граничит с маленьким участком №1228, который был продан в 2019 году на жарком аукционе за 17,25 млн.руб. Место популярно круглый год, здесь останавливаются проезжающие автомобили, чтобы попить купленный по дороге в питстопе кофе и выкинуть стаканчик здесь же. Благоустройство с поддержанием чистоты возможно вероятно лишь с интеграцией арендатора. Открытая и бесплатная видовая, а также кафе с панорамными окнами позволит сделать место комфортным круглый год.
Еще одно общественное пространство остается на выезде от Басаргина 42в к трассе.
№ 10. Парк “Патрокл”
На участке 25:28:030014:3382 (2,76 Га, зона объектов отдыха и туризма Р3) компания “Другое дело” реализовывает развлекательный парк “Патрокл”. Здесь планируется водно-оздоровительный комплекс, беседки, площадка для мероприятий, павильон кафе/бар.
Предполагается также веревочный парк, аренда спортивного, пляжного, водного инвентаря, развлечения для детей, фудкорт, коворкинг-зона, волейбольная площадка и воркаут, пощадки для экстремальных видов спорта (скейтпарк, bmx, ролики, самокат) и конечно же автопарковка.
Смотрите продолжение:
Сохранение леса на Патрокле обсудили с Дирекцией общественных пространств Владивостока
Архитектурное бюро Романа Гека представило проект видовой площадки на Патрокле

